
1 Acres Lot
1 Acres Lot
Key Details
Property Type Vacant Land
Sub Type Unimproved Land
Listing Status Active
Purchase Type For Sale
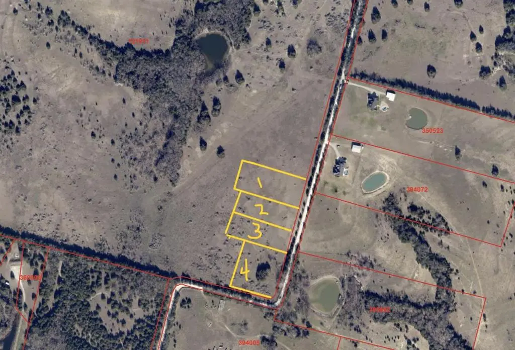
Subdivision The Preserve At Buchanan Place Phase 1
MLS Listing ID 21158219
HOA Y/N None
Lot Size 1.000 Acres
Acres 1.0
Property Sub-Type Unimproved Land
Property Description
Location
State TX
County Grayson
Zoning Agricultural Residential
Direction From US Hwy 75 exit Lamar St, State Hwy 56, travel 5.3 miles east. Turn left on Adams Rd, right at the first intersection, continue to next S-curve; Lot 4 is on the left (west side) starting at the top of the S-curve, continue north to lot 1.
Exterior
Fence Barbed Wire, Partial
Utilities Available Co-op Electric, Co-op Water, Outside City Limits
Street Surface Gravel
Garage No
Building
Lot Description Acreage
Schools
Elementary Schools Dillingham
Middle Schools Sherman
High Schools Sherman
School District Sherman Isd
Others
Restrictions Deed,No Divide,No Mobile Home
Acceptable Financing Cash, Conventional
Listing Terms Cash, Conventional


"My job is to find and attract mastery-based agents to the office, protect the culture, and make sure everyone is happy! "


